
LA HABANA, 25 DE OCTUBRE DE 2025
Haití tiene a Cuba ahora, la ha tenido desde hace mucho. Pero no deja de necesitar ese huracán de ayuda estacionario que se ensañe con sus hijos, así de fuerte, como Matthew
Algunos de los integrantes de la Brigada médica cubana Henry Reeve y de la misión médica permanente en Haití. Foto: Tomada de Facebook
Brigada médica cubana Henry Reeve en Haití tras el paso del huracán Matthew, a un mes de llegar a esta nación. Foto: Tomada de Facebook
Brigada médica cubana Henry Reeve en Haití tras el paso del huracán Matthew. Esta niña de solo dos meses fue salvada por la brigada, que la encontró deshidratada y sola, pues su madre había muerto de cólera. Foto: Tomada de Facebook
La Brigada médica cubana Henry Reeve en Haití, junto a la misión médica permanente, tras el paso del huracán Matthew insiste en las charlas educativas con la población para evitar la propagación del cólera y el paludismo. Foto: Tomada de Facebook
Las condiciones de saneamiento son pésimas en el sur de Haití Foto: Tomada de Facebook
Clorar el agua y la quimioprofilaxis contra el cólera son esenciales en la labor preventiva que desempeñan los galenos. Foto: Tomada de Facebook
Los profesionales de la salud cubanos recorren las comunidades realizando pesquisas e intercambiando con la población para aumentar la percepción de riesgo de los haitianos. Foto: Tomada de Facebook
Agradecimiento de los haitianos a la Brigada médica cubana Henry Reeve en Haití tras el paso de Matthew. «MerciAmpil Vive la Brigade Kiben». Muchas gracias, viva la Brigada Cubana. Foto: Tomada de Facebook
Clorar el agua y la quimioprofilaxis contra el cólera son esenciales en la labor preventiva que desempeñan los galenos Foto: Tomada de Facebook
Los galenos cubanos fumigan las casas e insisten en el uso de repelentes y mosquiteros para evitar el paludismo. Foto: Tomada de Facebook
Los galenos cubanos fumigan las casas e insisten en el uso de repelentes y mosquiteros para evitar el paludismo. Foto: Tomada de Facebook
Los profesionales de la salud cubanos recorren las comunidades realizando pesquisas e intercambiando con la población para aumentar la percepción de riesgo de los haitianos. Foto: Tomada de Facebook
El cariño del pueblo haitiano es la mejor muestra de agradecimiento a los profesionales de la salud cubanos. Foto: Tomada de Facebook
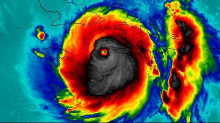
Imagen satelital del huracán Matthew sobre Haití. Foto: NASA
Brigada médica cubana Henry Reeve en Haití tras el paso del huracán Matthew. Foto: Tomada de Facebook
Ya está disponible el canal de Whatsapp del Periódico Granma, una posibilidad que permitirá llegar a una mayor audiencia
Julio Martínez Molina
Julio Martínez Molina
Julio Martínez Molina
Juventud Rebelde | Trabajadores. | Cubadebate | ACN | Prensa Latina | Opciones | CubaSi | Cubahora | Cubaperiodistas | JIT
Bohemia | Mujeres | La Jiribilla | Alma Mater | Caimán Barbudo | Juventud Técnica | Pionero
TV Cubana | Radio Cubana | Radio Habana Cuba | Radio Progreso | Radio Rebelde | Radio Reloj | Radio Taino | Radio Musical Nacional
