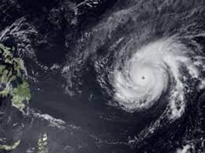
Autoridades filipinas acentuaron este sábado la alerta frente a la prevista llegada el domingo del tifón Maysak, con particular advertencia a los pobladores que se desplazaron a zonas costeras para pasar el feriado de Semana Santa.

El Consejo Nacional de Manejo y Reducción de Riesgos de Desastres advirtió de la potencialidad de que ocurran entradas del mar, rápidas inundaciones y deslaves, sobre todo en las más expuestas áreas del litoral.
Al llamar a la cautela, la portavoz de la entidad, Mina Marasigan, se refirió en especial a las playas del popular complejo turístico Baler, en la provincia Aurora, para que refuercen las precauciones, con la recomendación de evacuar antes del arribo del organismo.
Meteorólogos pronostican que Maysak tocará dicho territorio en el este del país, ya debilitado, pero el gobierno señala que acumula vientos de 150 a 185 kilómetros por hora y el jefe de la defensa civil, Alezxander Pama dijo que no se desea transmitir al público una falsa sensación de seguridad.
El archipiélago de Filipinas, enclavado en el llamado cinturón de fuego del Pacífico es uno de los países en el mundo más susceptibles a continuas calamidades naturales, sobre todo tifones como el Haiyan, que en noviembre de 2013 causó más de siete mil muertes y cuantiosos daños materiales.















COMENTAR
Responder comentario